Real-Time Hurricane Tracking: Live Satellite Updates

T.Serverblend 28 views
Real-Time Hurricane Tracking: Live Satellite Updates

Real-Time Hurricane Tracking: Live Satellite Updates

Hey everyone! Are you ready to dive deep into the fascinating world of hurricane tracking ? We’re going to explore how we can monitor these powerful storms in real-time. This involves using live satellite imagery and advanced tracking technologies. Whether you’re a weather enthusiast or just want to stay informed during hurricane season, this guide is for you! We will uncover how to get the most accurate and up-to-date information on hurricanes. We’ll examine the tools and resources available to track these storms as they develop and move across the globe. Get ready for a comprehensive look at pseimiltonse hurricane tracker live satellite data and how it can help you stay safe and informed. Let’s get started and unravel the mysteries of hurricane tracking together!

The Power of Live Satellite Imagery in Hurricane Tracking

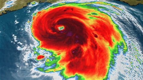
Live satellite imagery is absolutely crucial in the world of hurricane tracking. It is the backbone of how meteorologists and weather enthusiasts alike monitor these massive storms. Think about it: satellites give us a bird’s-eye view from space, providing continuous and comprehensive data that ground-based tools just can’t match. This perspective is vital for several reasons. First and foremost, it allows for early detection . Satellites can identify developing storms far out in the ocean, giving forecasters a head start in monitoring their evolution. They capture the very beginnings of a hurricane, observing the formation of thunderstorms that might eventually coalesce into a tropical cyclone. This early detection is incredibly important. It gives communities and authorities extra time to prepare and issue warnings. The early the warning, the better. Satellites don’t just spot the storms; they provide detailed information about their structure. They can see the cloud formations, the eye of the storm, and the overall shape and size of the hurricane. Different types of satellites equipped with various sensors can collect different kinds of data. Some satellites use visible light sensors to capture images we can see. Others use infrared sensors to measure the temperature of the cloud tops, which helps determine the intensity of the storm. Still others use microwave sensors that can penetrate through the clouds, providing a clearer picture of the storm’s structure, even in heavy rain. This multi-faceted approach gives a complete view that is hard to get any other way.

Satellites also play a critical role in tracking a hurricane’s path . By constantly monitoring the storm’s position, speed, and direction, satellites provide real-time updates that are critical for accurate forecasting. This information is fed into sophisticated computer models that predict where the storm is headed and when it might make landfall. Every few minutes, satellites send updated data, providing a constant stream of information that helps refine these predictions. This data is updated frequently, allowing meteorologists to make adjustments to their forecasts as needed. The precision with which a hurricane’s path can be tracked has dramatically improved thanks to these technologies. This improvement means more accurate and timely warnings. Live satellite data isn’t just for experts, either. Many websites and apps provide this data to the public. This accessibility allows everyone to stay informed and make informed decisions during a storm. With just a few clicks, you can access the same data that meteorologists use, giving you a comprehensive understanding of the storm’s progress. Satellite imagery also helps in assessing the intensity of a hurricane . They measure wind speeds, rainfall rates, and the overall energy of the storm. This information is vital for understanding how dangerous a hurricane is. For instance, satellites can measure the temperature of the ocean surface, which is a key factor in hurricane formation and intensification. Warmer waters provide more fuel for the storm, so monitoring these temperatures helps forecasters predict how a hurricane might strengthen. By providing all this information, satellites make sure we are all informed and as safe as possible.

How to Access and Interpret Live Hurricane Tracking Data

So, you’re eager to get your hands on some live hurricane tracking data ? Awesome! The good news is that accessing this data is easier than ever, thanks to the internet and various user-friendly resources. You don’t need to be a meteorologist to understand and use this information. Here’s a rundown of the best ways to get started. First off, there are tons of websites that offer live hurricane tracking maps and data. The National Hurricane Center (NHC) is probably your first stop. The NHC is the official U.S. government source for hurricane information. Their website provides real-time maps, forecasts, and detailed information about active storms. The maps are interactive, so you can zoom in and out, click on storm icons to get detailed information, and view past and projected paths. Then, there are weather-focused websites like AccuWeather and The Weather Channel . These sites provide comprehensive coverage, integrating satellite imagery, radar data, and expert analysis into their hurricane tracking tools. They often have mobile apps, which are super convenient for getting updates on the go. Furthermore, many sites offer features such as animated loops showing the movement of hurricanes over time, which can really help you understand the storm’s trajectory.

Another awesome resource is the use of satellite imagery viewers. Sites like NOAA (National Oceanic and Atmospheric Administration) provide direct access to satellite data. You can view various types of satellite imagery, including visible, infrared, and water vapor images. These images show different aspects of the storm. For example, visible images show cloud formations during the day. While infrared images show cloud top temperatures, helping you determine storm intensity. Many of these resources also include interactive maps . They allow you to layer different data sets on top of the satellite imagery. This can include wind speed, rainfall forecasts, and even the potential for storm surge. Many of these tools are designed to be user-friendly, with clear legends and easy-to-understand color-coding. When looking at the data, you’ll encounter several key elements. The hurricane’s track is typically shown as a line, with the current position of the storm marked by a symbol. The forecast cone shows the probable path of the storm over the next few days. The cone represents the area within which the center of the storm is most likely to move. The wind field represents the area affected by the hurricane’s winds, with different colors indicating wind speeds. Pay attention to storm intensity , which is often indicated by the Saffir-Simpson Hurricane Wind Scale. The scale classifies hurricanes based on wind speed, from Category 1 (least intense) to Category 5 (most intense). There is always a lot of data to process, so it’s essential to understand the basics. Keep an eye out for updates on the storm’s intensity. Changes in wind speed can impact the level of danger a hurricane poses. Pay attention to the size of the storm. A larger storm can affect a wider area. Also, check for any new advisories or warnings issued by your local authorities. These provide specific information and instructions for your area. They could include evacuation orders or shelter-in-place instructions. Make sure you understand the difference between a hurricane watch and a hurricane warning. A watch means that hurricane conditions are possible within the next 48 hours. A warning means that hurricane conditions are expected within 36 hours. If you know what you are looking for, it is easy to become informed about how to stay safe.

Choosing the Right Hurricane Tracking Tools and Resources

With so many hurricane tracking tools out there, how do you pick the right ones for you? Don’t worry, it doesn’t have to be overwhelming! Here’s a guide to help you select the best resources based on your needs and preferences. Start by considering your needs. Do you want to receive quick updates, detailed analysis, or both? Are you interested in basic information or in-depth data? The answer to these questions will help you narrow down your choices. If you’re looking for fast, up-to-the-minute updates, mobile apps are the way to go. Apps from the NHC, AccuWeather, and The Weather Channel can send push notifications when new advisories are issued, making it super easy to stay informed. These apps often provide maps, radar data, and expert analysis, all in one place. You can also customize your notifications to receive alerts for specific areas, which is great if you have family or property in a hurricane-prone region. For more detailed information, websites offer a wealth of data, including satellite imagery viewers and interactive maps. These websites let you explore different aspects of a storm, such as wind speeds, rainfall forecasts, and potential storm surge. They also provide access to expert analysis and historical data, which can provide a comprehensive understanding of the storm. When selecting tools, make sure they are reliable and from trusted sources. The National Hurricane Center is the gold standard for official information. Make sure that the sources you choose are regularly updated, and provide clear and accurate information. User-friendliness is also important. The best tools have intuitive interfaces and easy-to-understand visualizations. Look for tools that have clear legends, interactive maps, and color-coded data. This will make it easier to understand complex information and make informed decisions. Also, consider the specific features that each tool offers. Some tools provide advanced features such as animated loops showing the movement of hurricanes over time. Others offer the ability to layer different data sets on top of the satellite imagery. Some provide access to past storm data, which can be useful for understanding historical patterns. Finally, think about how you plan to use these tools. Do you need access on the go, or are you primarily accessing data from home? If you travel a lot, a mobile app is a must. If you need in-depth analysis and access to all sorts of data, a website might be a better choice. Make sure that you regularly test the tools you choose. This way, you’ll be familiar with them before a storm hits, allowing you to use them effectively during an emergency. Make sure you familiarize yourself with the tools, understand the different types of data, and learn how to interpret them. This preparation will help you stay informed and make informed decisions during a hurricane. Have multiple sources of information to cross-reference and confirm information. Make sure the tools you choose suit your needs so you stay safe!

Understanding the Limitations of Hurricane Tracking Technology

While hurricane tracking technology has advanced dramatically, it’s important to understand its limitations. No system is perfect, and several factors can impact the accuracy of forecasts and the reliability of the data. One of the primary limitations is the inherent complexity of weather systems. Hurricanes are massive and dynamic systems, influenced by many variables. The atmosphere, ocean temperature, wind patterns, and other environmental factors interact in complex ways. Modeling these interactions precisely is a huge challenge. Even the most sophisticated computer models have limitations. They rely on mathematical equations and simplifying assumptions that may not fully capture the complexity of a real-world hurricane. This is why forecasts often have a margin of error. Another key factor is the data quality and availability . Although satellites provide a wealth of data, their measurements can sometimes be affected by factors such as cloud cover, the type of sensors used, and the distance of the storm from the satellite. Gaps in data coverage or errors in data collection can impact the accuracy of forecasts. Furthermore, hurricane tracking relies on collecting data from various sources, including satellites, radar, weather stations, and aircraft. Any inconsistencies or errors in the data from these sources can affect the overall accuracy of the forecasts. Forecast models can be influenced by the initial conditions of the storm. Even small errors in the initial measurements of the storm’s position, intensity, or structure can lead to significant errors in the forecast. Additionally, the forecast horizon is limited. Forecast accuracy tends to decrease the further out in time you go. While meteorologists can provide forecasts for several days, the accuracy of these forecasts decreases as the forecast period increases. Predictions further out than a week are difficult to make accurately. Another limitation is the evolving nature of hurricanes. Storms can change rapidly, intensifying or weakening unexpectedly. Factors such as interaction with land, changes in wind shear, and changes in sea surface temperatures can cause rapid changes in a storm’s intensity and path. It’s also important to remember that hurricane tracking is an evolving science. As technology advances, the accuracy of forecasts will continue to improve. However, it’s essential to be aware of the limitations of the current technology and to use a variety of resources to stay informed. Relying on a single source of information can be risky. Always check multiple sources and consider different forecast models. Make sure you are also prepared to adjust your plans and actions based on the latest information. Having a good understanding of these limitations will help you use hurricane tracking tools more effectively and make informed decisions. By understanding the inherent complexities of these storms, you will make better decisions. Stay informed and stay safe!

Staying Safe During Hurricane Season: Essential Tips

Okay, so you’ve learned about hurricane tracking and live satellite data. But what does it all mean for you and your safety during hurricane season? Here are some essential tips to help you stay safe and prepared. First and foremost, you need to prepare a hurricane preparedness kit. This kit should include essential supplies such as water, non-perishable food, a first-aid kit, medications, flashlights, batteries, a weather radio, and any personal items you may need. Make sure you have enough supplies to last for several days. Being prepared means you will have essentials on hand. It allows you to focus on the situation and not worry. Knowing where you are going is also important. Plan an evacuation route and identify a safe place to go if you live in a flood-prone area or a mandatory evacuation zone. This should include your family and your pets. Make sure everyone knows the plan. Also, register with your local authorities if you have any special needs or medical requirements. Having a plan ahead of time will help you stay calm and make good decisions. Stay informed. Regularly monitor weather forecasts from the National Hurricane Center (NHC) and local news outlets. Pay close attention to any watches, warnings, or evacuation orders issued by your local authorities. Understand the difference between a hurricane watch and a hurricane warning. A watch means that hurricane conditions are possible. A warning means that they are expected. Heed any warnings. Be prepared to act. When a hurricane threatens, take immediate steps to protect yourself and your property. This includes securing loose items outdoors, covering windows and doors, and staying indoors during the storm. If you live in an evacuation zone, leave early and follow the instructions of local authorities. It is also important to protect your home. Trim trees and shrubs around your home. Clear gutters and downspouts. Board up windows. Know how to shut off your utilities. When a storm approaches, there’s a lot you need to do, so prepare ahead of time. During the storm, stay inside and away from windows and doors. Be aware of the dangers of floodwaters and storm surge. Do not drive or walk through floodwaters. Turn off the power at the main breaker or fuse box if flooding occurs. Once the storm passes, wait until it is safe to go outside. Stay away from downed power lines. Be cautious of structural damage and debris. Report any damage to your local authorities. Remember, your safety is the most important thing. Taking these steps can help you protect yourself, your family, and your property. Staying informed, preparing in advance, and knowing what to do during and after a hurricane are essential for your safety. Make sure you have a plan and know how to use it! Keep an eye on the pseimiltonse hurricane tracker live satellite data and be prepared for anything!